BASE HEADER

Blackdown

Yn dangos sylwadau a ffurflenni 1 i 30 o 504

Gwrthwynebu

Preferred Options

ID sylw: 46299

Derbyniwyd: 29/06/2012

Ymatebydd: Mrs Vivien Bryer

Crynodeb o'r Gynrychiolaeth:

The Joint Greenbelt assessment recommended against Blackdown for further study. The Council`s argument for ignoring this is spurious and could be applied to anywhere.

Testun llawn:

The Joint Green Belt Study (January 2009) said that Blachdown was not a suitable area for development. Point 7.32 of the "Justification for the Preferred Option for the Location of New Housing" overrides this on the grounds that ¬there ara clear boundaries to the site to protect the open countryside`. They consider a road to be a clear boundary (as in the case of Sandy Lane) The A445 (Leicester Lane) is already a `clear boundary` but they wish to put more than a thousand houses, car parks and retail outlets on the Greenbelt land beyond it.
Food production is likely to be a bigger problem than housing and this is excellent agricultural land which yields reliable harvests year after year. Furthermore there are drainage ditches running through the middle and a deep well, all of which would be hazardous in a residential area.

Gwrthwynebu

Preferred Options

ID sylw: 46308

Derbyniwyd: 01/07/2012

Ymatebydd: Mr Steven Heald

Crynodeb o'r Gynrychiolaeth:

The proposed Local Plan intends to develop green belt areas where there are other suitable areas for development identified within the plan that do not encroach on green belt land.

The current infrastructure can not support this development without further improvement, which will also require development in green belt areas.

Testun llawn:

The proposed Local Plan intends to develop green belt areas where there are other suitable areas for development identified within the plan that do not encroach on green belt land.

The current infrastructure can not support this development without further improvement, which will also require development in green belt areas.

Gwrthwynebu

Preferred Options

ID sylw: 46310

Derbyniwyd: 01/07/2012

Ymatebydd: Mr Paul Hughes

Crynodeb o'r Gynrychiolaeth:

Over development of green belt land in an area lacking sufficient infrastructure to deal with projected population. Northern relief road would not properly address the transport problems which would result, and cause grtidlocking of Kenilworth Rd, Rugby Rd, Emscote Rd etc.
Loss of valuable amenity land in an area lacking public open space.

Testun llawn:

Over development of green belt land in an area lacking sufficient infrastructure to deal with projected population. Northern relief road would not properly address the transport problems which would result, and cause grtidlocking of Kenilworth Rd, Rugby Rd, Emscote Rd etc.
Loss of valuable amenity land in an area lacking public open space.

Gwrthwynebu

Preferred Options

ID sylw: 46312

Derbyniwyd: 02/07/2012

Ymatebydd: Mr and Mrs K Shaw

Crynodeb o'r Gynrychiolaeth:

Blackdown Green belt land currently used for agricultural purposes that should be retained as such.
As a sloped and undulating terrain it is perfect for crops , but used for housing it would add to the already poor drainage situation and increase flood risk.The current road infrastructure would need to be updated as the A445 is already too busy, the health services are already over subscribed.

Testun llawn:

Blackdown Green belt land currently used for agricultural purposes that should be retained as such.
As a sloped and undulating terrain it is perfect for crops , but used for housing it would add to the already poor drainage situation and increase flood risk.The current road infrastructure would need to be updated as the A445 is already too busy, the health services are already over subscribed.

Gwrthwynebu

Preferred Options

ID sylw: 46313

Derbyniwyd: 02/07/2012

Ymatebydd: Mr and Mrs K Shaw

Crynodeb o'r Gynrychiolaeth:

We have a woodpecker family that visits our garden that has made a home in an old tree in the fields across from our house.
Where are they going to be housed once the building and demolition begins ?
Along with all the other furry animals and birds that live there ??

Testun llawn:

We have a woodpecker family that visits our garden that has made a home in an old tree in the fields across from our house.
Where are they going to be housed once the building and demolition begins ?
Along with all the other furry animals and birds that live there ??

Gwrthwynebu

Preferred Options

ID sylw: 46320

Derbyniwyd: 02/07/2012

Ymatebydd: Mr and Mrs K Shaw

Crynodeb o'r Gynrychiolaeth:

In the 2009 joint green belt study WL7 area it was classed as a most sensitive area and it was recommended to wholly retain it within the green belt and the urban expansion would be difficult to justify .... So what are the reasons for proposing this area be developed now ?
It was stated also that road noise would increase to a level that was unacceptable to existing residents.

Testun llawn:

In the 2009 joint green belt study WL7 area it was classed as a most sensitive area and it was recommended to wholly retain it within the green belt and the urban expansion would be difficult to justify .... So what are the reasons for proposing this area be developed now ?
It was stated also that road noise would increase to a level that was unacceptable to existing residents.

Gwrthwynebu

Preferred Options

ID sylw: 46326

Derbyniwyd: 03/07/2012

Ymatebydd: Mrs Lucinda Thornton

Crynodeb o'r Gynrychiolaeth:

This is an unecessary development in Green Belt.

There is insufficient infrastructure to support a housing development. There are already issues with the availability of local school places. Telford school has three classes in each year, which is already large for a primary school.

There are often traffic jams at rush hour associated with the roundabout at Blackdown and the crossing of the River Leam. In the evenings the traffic backs up all the way down the slip roads off the A46 as traffic tries to enter both Kenilworth and Leamington Spa.

Remediating these issues would make further incursions into the Green Belt.

Testun llawn:

This is an unecessary development in Green Belt.

There is insufficient infrastructure to support a housing development. There are already issues with the availability of local school places. Telford school has three classes in each year, which is already large for a primary school.

There are often traffic jams at rush hour associated with the roundabout at Blackdown and the crossing of the River Leam. In the evenings the traffic backs up all the way down the slip roads off the A46 as traffic tries to enter both Kenilworth and Leamington Spa.

Remediating these issues would make further incursions into the Green Belt.

Gwrthwynebu

Preferred Options

ID sylw: 46346

Derbyniwyd: 10/07/2012

Ymatebydd: Mr Ian Clarke

Crynodeb o'r Gynrychiolaeth:

This site is in Green Belt!
The National Planning Policy Framework makes clear that inappropriate development is harmful to the Green Belt and 'should not be approved except in very special circumstances'. It goes on to say that construction of new buildings should be regarded as inappropriate with a list of exceptions that do not include new housing!
The Council has not demonstrated 'very special circumstances'; indeed the authority's own documents show ample suitable land is available without the need to violate the Green Belt.

Testun llawn:

This site is in Green Belt!
The National Planning Policy Framework makes clear that inappropriate development is harmful to the Green Belt and 'should not be approved except in very special circumstances'. It goes on to say that construction of new buildings should be regarded as inappropriate with a list of exceptions that do not include new housing!
The Council has not demonstrated 'very special circumstances'; indeed the authority's own documents show ample suitable land is available without the need to violate the Green Belt.

Gwrthwynebu

Preferred Options

ID sylw: 46468

Derbyniwyd: 14/07/2012

Ymatebydd: Mrs J Mackenzie

Crynodeb o'r Gynrychiolaeth:

Again this is unacceptable development in the narrow strip of greenbelt between Kenilworth and Leamington. This proposal taken together with the large expansions currently proposed for Stoneleigh Park, Abbey Park, the Coventry Gateway and the land lost to HS2 will destroy this rural area and put further traffic pressure on the A445 and B4113.

Testun llawn:

Again this is unacceptable development in the narrow strip of greenbelt between Kenilworth and Leamington. This proposal taken together with the large expansions currently proposed for Stoneleigh Park, Abbey Park, the Coventry Gateway and the land lost to HS2 will destroy this rural area and put further traffic pressure on the A445 and B4113.

Gwrthwynebu

Preferred Options

ID sylw: 46498

Derbyniwyd: 15/07/2012

Ymatebydd: Mr Neil Halliday

Crynodeb o'r Gynrychiolaeth:

This proposed site is on "protected" Green Belt.

The National Planning Policy Framework makes it clear that inappropriate development is harmful to the Green Belt and 'should not be approved except in very special circumstances'.

The Council has not demonstrated 'very special circumstances'; indeed the authority's own documents show ample suitable land is available without the need to violate the Green Belt.

Testun llawn:

This proposed site is on "protected" Green Belt.

The National Planning Policy Framework makes it clear that inappropriate development is harmful to the Green Belt and 'should not be approved except in very special circumstances'.

The Council has not demonstrated 'very special circumstances'; indeed the authority's own documents show ample suitable land is available without the need to violate the Green Belt.

Gwrthwynebu

Preferred Options

ID sylw: 46500

Derbyniwyd: 16/07/2012

Ymatebydd: Mrs Alison Kirk

Crynodeb o'r Gynrychiolaeth:

I disagree with plans to build on greenfield sites

Testun llawn:

I disagree with plans to build on greenfield sites

Gwrthwynebu

Preferred Options

ID sylw: 46552

Derbyniwyd: 17/07/2012

Ymatebydd: Mr and Mrs K Shaw

Crynodeb o'r Gynrychiolaeth:

There are alternatives to taking land from the existing Green Belt in Blackdown.
Please see my proposed changes that should be considered prior to moving existing green belt boundaries.







Testun llawn:

There are alternatives to taking land from the existing Green Belt in Blackdown.
Please see my proposed changes that should be considered prior to moving existing green belt boundaries.







Gwrthwynebu

Preferred Options

ID sylw: 46553

Derbyniwyd: 17/07/2012

Ymatebydd: Mr and Mrs K Shaw

Crynodeb o'r Gynrychiolaeth:

Remove this site as a preferred option to locate development and consider alternatives that are not within existing green belt land.

Testun llawn:

The council are ignoring the views of its residents.

In their own survey the majority are strongly against further development of green belt land and yet the council puts forward a preferred option that is based on economic speculation, theories and hypothesis that utilises a considerable amount of existing green belt and proposes new green belt boundaries.

It is the thin end of the wedge that on one hand the council states 'green belt' is there to protect the open nature and rural character of the open countryside around towns and villages when their preferred option is to do the exact opposite.


Gwrthwynebu

Preferred Options

ID sylw: 46554

Derbyniwyd: 17/07/2012

Ymatebydd: Mr and Mrs K Shaw

Crynodeb o'r Gynrychiolaeth:

This proposed site is on "protected" Green Belt.

The National Planning Policy Framework makes it clear that inappropriate development is harmful to the Green Belt and 'should not be approved except in very special circumstances'.

The Council has not demonstrated 'very special circumstances'; indeed the authority's own documents show ample suitable land is available without the need to violate the Green Belt.
Change To Plan:

Testun llawn:

This proposed site is on "protected" Green Belt.

The National Planning Policy Framework makes it clear that inappropriate development is harmful to the Green Belt and 'should not be approved except in very special circumstances'.

The Council has not demonstrated 'very special circumstances'; indeed the authority's own documents show ample suitable land is available without the need to violate the Green Belt.
Change To Plan:

Gwrthwynebu

Preferred Options

ID sylw: 46555

Derbyniwyd: 17/07/2012

Ymatebydd: Mr and Mrs K Shaw

Crynodeb o'r Gynrychiolaeth:

Contrary to the belief that nationally Labour supports the defending of the Green Belt...
The local Labour Council supports the proposals for building on Green Belt land.

There are suitable alternatives that need to be looked at before green belt land is lost forever.

Testun llawn:

Contrary to the belief that nationally Labour supports the defending of the Green Belt...
The local Labour Council supports the proposals for building on Green Belt land.

There are suitable alternatives that need to be looked at before green belt land is lost forever.

Gwrthwynebu

Preferred Options

ID sylw: 46615

Derbyniwyd: 19/07/2012

Ymatebydd: G Ralph

Crynodeb o'r Gynrychiolaeth:

The exceptional circumstances that are required to change the existing green belt have not been demonstrated.

Testun llawn:

The exceptional circumstances that are required to change the existing green belt have not been demonstrated.

Gwrthwynebu

Preferred Options

ID sylw: 46688

Derbyniwyd: 20/07/2012

Ymatebydd: Ms Rachel Pope

Crynodeb o'r Gynrychiolaeth:

I strongly object to the proposal to develop around Blackdown because it does not comply with the Government's National Planning Policy Framework for development in the Green Belt. The plan is unsound for numerous reasons, not least because the council itself, in 2009, identified that there were alternatives to developing the Green Belt. So far it has failed to explain what exactly has changed in order to justify this significant about-turn.
This land has enormous physical and visual amenity value, as well as high agricultural value. It should be accorded a higher priority than brownfield and other sites.

Testun llawn:

I strongly object to the proposal to develop around Blackdown because it does not comply with the Government's National Planning Policy Framework for development in the Green Belt. The plan is unsound for numerous reasons, not least because the council itself, in 2009, identified that there were alternatives to developing the Green Belt. So far it has failed to explain what exactly has changed in order to justify this significant about-turn.
This land has enormous physical and visual amenity value, as well as high agricultural value. It should be accorded a higher priority than brownfield and other sites.

Gwrthwynebu

Preferred Options

ID sylw: 46693

Derbyniwyd: 21/07/2012

Ymatebydd: Mr David Blower

Crynodeb o'r Gynrychiolaeth:

It would fundamentally & detrimentally alter this entrance into th town.

Testun llawn:

It would fundamentally & detrimentally alter this entrance into th town.

Gwrthwynebu

Preferred Options

ID sylw: 46749

Derbyniwyd: 22/07/2012

Ymatebydd: Mr Keith Knott

Crynodeb o'r Gynrychiolaeth:

This represents a massive urbanisation and reduction of the gap between kenilworth and leamington.

Testun llawn:

This represents a massive urbanisation and reduction of the gap between kenilworth and leamington.

Gwrthwynebu

Preferred Options

ID sylw: 46771

Derbyniwyd: 23/07/2012

Ymatebydd: Mrs Anne Vincent

Crynodeb o'r Gynrychiolaeth:

I object to Green Belt land being made available for building purposes when in 2009 land south of Leamington was identified as suitable and available.Land at Blackdown is a vital environmental asset preventing urban sprawl towards Kenilworth and providing a valuable resource for peoples' health and opportunity to pursue leisure activities. The roads would not support additional traffic- congestion would be intolerable, carbon emissions high. Development would require an improved road system at considerable expense on additional land destroying even more valuable green belt land. I value my local community, countryside and green spaces and hope the council will too.

Testun llawn:

I object most strongly to the development of 1170 houses with additional employment and community facilities proposed for the Blackdown area including Leicester Lane. All of this area is designated Green Belt land north of Leamington Spa which constitutes a vital environmental asset preventing urban sprawl towards Kenilworth and providing a valuable resource for peoples' health and opportunity to pursue leisure activities.

As land south of Leamington Spa has already been identified as suitable and available for development within the 2009 Core Strategy Plan, it is monstrous that Green Belt land is being offered up for development as a viable option. The south has a substantial amount of infrastructure already in place to support growth. It is closer to the M40 and employment opportunities currently exist. Building north of Leamington Spa would create a traffic nightmare. There would be a greater dependency on cars and buses, therefore higher carbon emissions detrimental to health, and severe congestion as the narrow roads would not easily accommodate the increased traffic. Development would require an improved road system at considerable expense on additional land, again destroying the character and local value the area naturally provides.

In order to develop on Green Belt, the Council has to show that there are 'exceptional circumstances'. As suitable land has clearly been identified east of the A452 (Europa Way) and south of Heathcote towards Bishops Tachbrook, the Council do not lack alternative sites outside of Green Belt. These are areas that should be given first consideration to new development.

At a recent meeting I attended, the Council indicated the need to 'spread the development' around the region. According to the National Planning Policy Framework, this is not a planning policy criteria and therefore not an acceptable argument for developing on greenbelt to the north of the town. I felt the Council were completely in favour of encouraging urban sprawl at any cost. Green Belt land is a vital planning policy to safeguard countryside and prevent the ultimate merging of towns and loss of identity.


I value my local community, countryside and green spaces. They must be preserved for future generations. I trust the Council will reconsider its proposals for development and not invade the Green Belt particularly when other more feasible and economic alternatives are available.

Gwrthwynebu

Preferred Options

ID sylw: 46799

Derbyniwyd: 24/07/2012

Ymatebydd: Mrs Cathy Armstrong

Crynodeb o'r Gynrychiolaeth:

* We believe that 'exceptional circumstance' justifying the proposal to build on Green Belt land in this area has not been proven - there are other suitable/available sites outside the Green Belt which do accord with the principles of the NPPF.
* We believe that the proposed plans relating to the northern entrance to Leamington Spa will exacerbate rather than reduce transport issues, encourage urban sprawl (which, according to the NPPF, Green Belt protection is designed to prevent), and that the proposals will impact negatively on the affected communities, the wider district and on the general aspect when entering Leamington Spa.

Testun llawn:

* We believe that 'exceptional circumstance' justifying the proposal to build on Green Belt land in this area has not been proven - there are other suitable/available sites outside the Green Belt which do accord with the principles of the NPPF.
* We believe that the proposed plans relating to the northern entrance to Leamington Spa will exacerbate rather than reduce transport issues, encourage urban sprawl (which, according to the NPPF, Green Belt protection is designed to prevent), and that the proposals will impact negatively on the affected communities, the wider district and on the general aspect when entering Leamington Spa.

Gwrthwynebu

Preferred Options

ID sylw: 46820

Derbyniwyd: 02/08/2012

Ymatebydd: Ms Alison Pledge

Crynodeb o'r Gynrychiolaeth:

Ridiculous plan. 20%+ of the proposed housing should not be put on this Green Belt.
Having to build new roads and services when they already exist elsewhere.
North Leamington will turn into a commuter belt, roads are already clogged with people coming from Coventry, Rugby and further. Businesses already bring staff in from their original sites elsewhere so no work for locals.
Blackdown junction is a death trap, this will make it much worse.
How much more Green Belt will be stolen after the precedence is set?

Testun llawn:

Ridiculous plan. 20%+ of the proposed housing should not be put on this Green Belt.
Having to build new roads and services when they already exist elsewhere.
North Leamington will turn into a commuter belt, roads are already clogged with people coming from Coventry, Rugby and further. Businesses already bring staff in from their original sites elsewhere so no work for locals.
Blackdown junction is a death trap, this will make it much worse.
How much more Green Belt will be stolen after the precedence is set?

Gwrthwynebu

Preferred Options

ID sylw: 46860

Derbyniwyd: 24/07/2012

Ymatebydd: Mr Nigel Vincent

Crynodeb o'r Gynrychiolaeth:

The need to identify land as Green belt was done for very sound reasons to prevent urban sprawl, the merging of conavations and to secure vital environmental assets. Green Belt land should not be developed unless there are exceptional reasons or circumstances to do so. The draft Plan does not identify any exceptional circumstances or reasons and previous Plans have identified other more suitable areas which are not designated Green Belt to the south of the town centre. To propose the development of Green Belt over non Green Belt areas would render the classification meaningless.

Testun llawn:

I wish to register my objection to the Councils proposed Local Plan and in particular to the proposal to develop on Green Belt land to the North of Leamington Spa. The need to identify land as Green belt was done for very sound reasons to prevent urban sprawl, the merging of conavations and to secure vital environmental assets.

I was aware that a Local Plan prepared in 2009 recognised the need to maintain Green Belt and identified land for development to the south of Leamington Spa. This proposal would seem to be incompatible with managing traffic and transportation within the town as existing national road and rail connections, retail areas and areas of employment are also located south of the historic town centre. Developing land to the North of the town centre would generate intolerable traffic congestion in the town as the additional traffic generated would journey across town to reach these amenities.

I note that the draft Plan refers to 'employment and community facilities' as well as proposed housing in the proposed development areas north of the town. I presume this is likely to be manifest as supermarkets and retail units. This would destroy the current leafy, sub urban residential nature and character of North Leamington which makes it such a desirable place to live.

Green Belt land should not be developed unless there are exceptional reasons or circumstances to do so. The draft Plan does not identify any exceptional circumstances or reasons and previous Plans have identified other more suitable areas which are not designated Green Belt to the south of the town centre. To propose the development of Green Belt over non Green Belt areas would render the classification meaningless.

Gwrthwynebu

Preferred Options

ID sylw: 46909

Derbyniwyd: 02/08/2012

Ymatebydd: Mr Alan Pledge

Crynodeb o'r Gynrychiolaeth:

Who has decided that the area needs 10,000 more properties and WHY.
Insufficient transport capacity for whole town, the
Blackdown proposals ignore current levels of commuter traffic, add to these a further 10k cars minimum each morning and Gridlock will ensue, not a great deal different to access for Royal Show back in the 1970's -progress?

Testun llawn:

Who has decided that the area needs 10,000 more properties and WHY.
Insufficient transport capacity for whole town, the
Blackdown proposals ignore current levels of commuter traffic, add to these a further 10k cars minimum each morning and Gridlock will ensue, not a great deal different to access for Royal Show back in the 1970's -progress?

Gwrthwynebu

Preferred Options

ID sylw: 46965

Derbyniwyd: 26/07/2012

Ymatebydd: Mr Dave Ellis

Crynodeb o'r Gynrychiolaeth:

Regarding the proposed development on the edge of Leamington at Blackdown and Milverton. Whilst not against some development in green belt where absolutely necessary I do feel strongly regarding this application because of its proximity to Kenilworth and Coventry.
We must do everything to preserve the identity of our town. Leamington is a town of quality and stature and it will do nothing in its favour to spread towards other urban areas. The planners and councillors in WDC have done sterling service to Leamington Spa with their planning controls and we wish to strengthen their hands to stop unwise decisions.

Testun llawn:

Regarding the proposed development on the edge of Leamington at Blackdown and Milverton. Whilst not against some development in green belt where absolutely necessary I do feel strongly regarding this application because of its proximity to Kenilworth and Coventry.
We must do everything to preserve the identity of our town. Leamington is a town of quality and stature and it will do nothing in its favour to spread towards other urban areas. The planners and councillors in WDC have done sterling service to Leamington Spa with their planning controls and we wish to strengthen their hands to stop unwise decisions.

Gwrthwynebu

Preferred Options

ID sylw: 47085

Derbyniwyd: 26/07/2012

Ymatebydd: Ms Lisa Abba

Crynodeb o'r Gynrychiolaeth:

exceptional circumstances have not been demonstrated to build on green belt land

Testun llawn:

exceptional circumstances have not been demonstrated to build on green belt land

Gwrthwynebu

Preferred Options

ID sylw: 47096

Derbyniwyd: 26/07/2012

Ymatebydd: Mr A Beswick

Crynodeb o'r Gynrychiolaeth:

It is not acceptable to build in the Green Belt when other land is available, if development is required at all it needs to be economically justified.

I do not accept the Planning Team's assertion that potential development is not sustainable on the south of Leamington, the reasons given are unsupported.

Testun llawn:

It is not acceptable to build in the Green Belt when other land is available, if development is required at all it needs to be economically justified.

I do not accept the Planning Team's assertion that potential development is not sustainable on the south of Leamington, the reasons given are unsupported.

Gwrthwynebu

Preferred Options

ID sylw: 47112

Derbyniwyd: 26/07/2012

Ymatebydd: Ms Nicola Davies

Crynodeb o'r Gynrychiolaeth:

*Sizeable development on green belt land should only be considered in 'exceptional circumstances' and when all other options have been evaluated and dismissed. I do not consider that this is the case in relation to Blackdown. It seems to me that 'exceptional circumstances' are unproven.
*The greenbelt land at Blackdown is particularly attractive rolling and varied farmland and a leisure resource widely enjoyed by the community.
* As a School Governor I am concerned about the pressure that would result on the capacity and provision of school places - particularly at primary level - within North Leamington.

Testun llawn:

*Sizeable development on green belt land should only be considered in 'exceptional circumstances' and when all other options have been evaluated and dismissed. I do not consider that this is the case in relation to Blackdown. It seems to me that 'exceptional circumstances' are unproven.
*The greenbelt land at Blackdown is particularly attractive rolling and varied farmland, featuring traditional hedgerows and stone walls. The footpaths are a well-used leisure resource widely enjoyed by the community. Development would have a detrimental impact and fundamentally alter the character of the area.
*I too have concerns about the impact such a sizeable residential development would have on local services. As a School Governor I have particular focus on the pressure that would result on the capacity and provision of school places - particularly at primary level - within North Leamington.

Gwrthwynebu

Preferred Options

ID sylw: 47184

Derbyniwyd: 27/07/2012

Ymatebydd: Mr Ben Wallace

Crynodeb o'r Gynrychiolaeth:

This area should not be a growth area. It is part of Greenbelt, the whole point of Greenbelt is to stop urban sprawl. The new housing places pressure on North Leamington School and building new primary schools in the area will probably not solve an already over subscribed Telford School.
It is too many houses, in the wrong area, with too much pressure for the infrastructure currently existing and probably for the proposed infrastructure changes. This area should not be built on.

Testun llawn:

This area should not be a growth area. It is part of Greenbelt, the whole point of Greenbelt is to stop urban sprawl. The new housing places pressure on North Leamington School and building new primary schools in the area will probably not solve an already over subscribed Telford School.
It is too many houses, in the wrong area, with too much pressure for the infrastructure currently existing and probably for the proposed infrastructure changes. This area should not be built on.

Cefnogi

Preferred Options

ID sylw: 47304

Derbyniwyd: 29/07/2012

Ymatebydd: Mrs Nikki Child

Crynodeb o'r Gynrychiolaeth:

Site L48 is ideal for urban edge development to support housing needs of the District. It has good access to infrastructure, community facilities and amenities, also the road network, the A46, Coventry, Warwick University and the M40.

For expansion in the north of Leamington it is essential that the Green Belt boundary is amended. The site is generally low lying and visually contained by surrounding planting. It would not have a significant impact on the openness of the remaining Green Belt and not result in any coalescence of urban areas; distinct separation between Leamington and Kenilworth remaining unaffected.

Testun llawn:

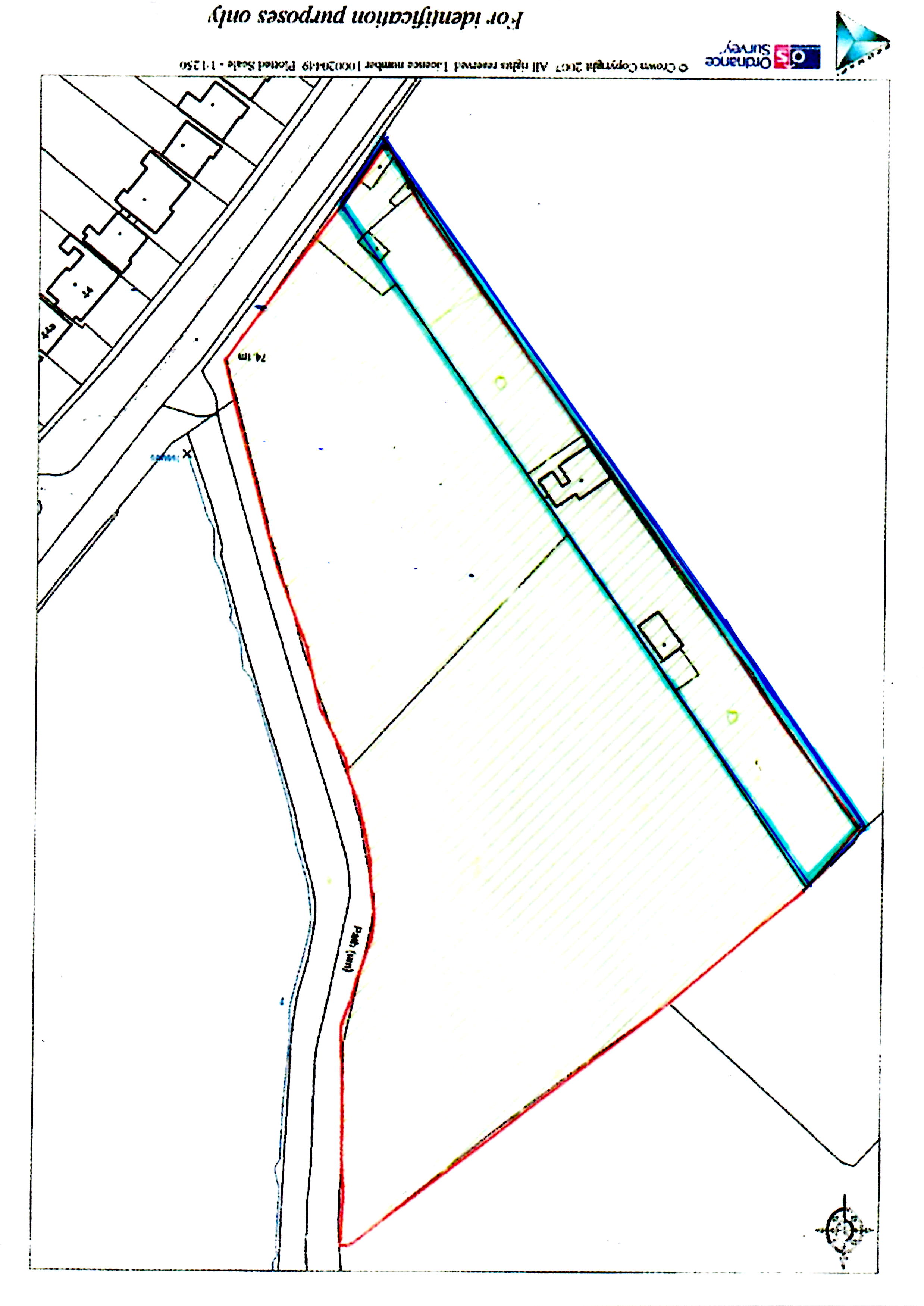
I write as owner of part of Site No L48 within the SHLAA 2012. The extent of this site ownership includes a further strip of land to the south west that provides direct vehicular access onto Leicester Lane and falls under one title ownership. As such the above SHLAA site should be extended to include this additional strip of land as outlined in blue on the attached SHLAA map extract, and on the Ordnance Survey map.

I consider this extended site, in conjuction with those surrounding it to the north and west, to be wholly suitable for development to support the housing and other needs of the District. The site itself and the combined sites have good access to the road network and easy access to the A46 and thus links to Coventry, Warwick University and the M40.

To facilitate expansion in the north of Leamington it is essential that the Green Belt boundary is reviewed and amended to exclude the sites. The sites are currently substantially contained by existing development and are generally low lying so that they are visually contained by surrounding planting. For this reason a revision to the Green Belt boundary in this location specifically to exclude these sites would not have a significant impact on the openness of the remaining Green Belt. It would also not result in any coalescence of urban areas, with the distinct separation between Leamington and Kenilworth remaining unaffected as the site lies along the urban edge of Leamington.

The expansion of development within urban edge sites in this location is considered wholly appropriate as they benefit from ready access to infrastructure, community facilities and amenities and can assist in supporting and enhancing these in the long term.

To conclude, I believe the site is appropriate for development, is available and would sustainably support the development needs of the District.

Atodiadau: